4,800万円
44.66坪
種別 土地
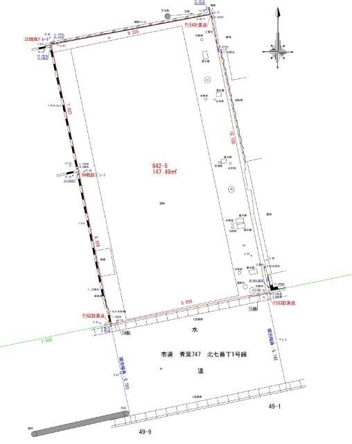
土地面積 147.66㎡
おすすめ
ポイント
最寄り駅から徒歩約13分の立地!
徒歩約3分圏内に、スーパー、コンビニありお買い物便利です
南東側道路幅員約5.7mに接道!
建築条件無し売地・お好きな建築会社で建築できます
都市計画 | 市街化区域 |
---|---|
用途地域 | 第二種住居地域 |
建蔽率/容積率 | 60% / 200% |
地目 | 宅地 |
最適用途 | 住宅用地 |
区画整理 | - |
接道 | 南東側5.7m公道に9.0m接道 |
私道 | なし |
権利 | 所有権 |
借地権 | - |
現況 | 古屋あり |
引渡時期 | 相談 |
引渡条件 | 現況渡し |
取引態様 | 媒介 |
管理コード | QE400063 |
設備・特記
《設備》:-
《物件の特徴》:-
備考
《その他制限》:準防火地域・第3種高度地区・駐車場附置義務(近隣商業地域等)
《その他》:その他(※現況でのお渡しとなります。契約不適合責任免責)
※詳細については、Webサイトにてご確認ください。現状と異なる場合は、現状を優先させていただきます。
※取引態様の欄に「媒介」と表示された物件は「仲介物件」です。ご成約の際には仲介手数料を申し受けます。
情報更新日|2025年10月18日
次回更新予定|2025年11月5日