880万円
72.07坪
種別 土地
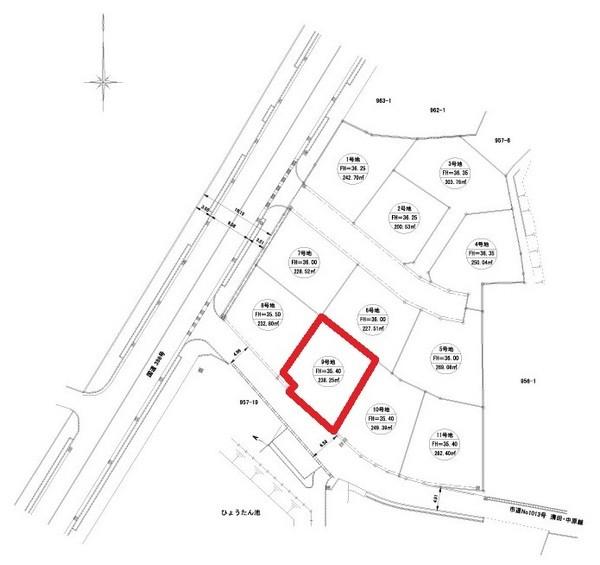
土地面積 238.25㎡
おすすめ
ポイント
人気の立石小学校校区!
徒歩圏内に、コンビニ・歯科医院・お菓子屋さんあります。
ご自分の生活スタイルに合ったプランで建築できます。
| 都市計画 | 都市計画区域外 |
|---|---|
| 用途地域 | 無指定/無指定 |
| 建蔽率/容積率 | 60% / 200% |
| 地目 | 宅地 |
| 最適用途 | 住宅用地 |
| 区画整理 | - |
| 接道 | 南西側6.0m公道に10.6m接道 |
| 私道 | なし |
| 権利 | 所有権 |
| 借地権 | - |
| 現況 | 更地 |
| 引渡時期 | 即時 |
| 引渡条件 | |
| 取引態様 | 売主 |
| 管理コード | ACZ0039 |
設備・特記
《設備》:上水道/電気/下水道
《物件の特徴》:人気の立石小学校校区!
備考
※詳細については、Webサイトにてご確認ください。現状と異なる場合は、現状を優先させていただきます。
※取引態様の欄に「媒介」と表示された物件は「仲介物件」です。ご成約の際には仲介手数料を申し受けます。
情報更新日|2025年10月31日
次回更新予定|2025年11月19日