992.29万円
76.33坪
種別 土地
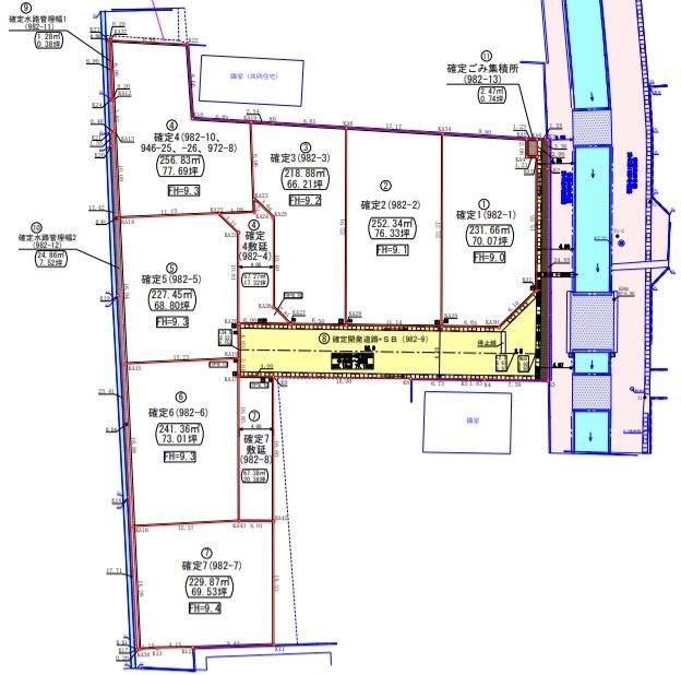
土地面積 252.34㎡
おすすめ
ポイント
建築条件が無いので、お好きな住宅メーカーで建てられます。
7区画の新規分譲地になります。
| 都市計画 | 市街化区域 |
|---|---|
| 用途地域 | 準工業地域 |
| 建蔽率/容積率 | 60% / 200% |
| 地目 | 雑種地 |
| 最適用途 | 住宅用地 |
| 区画整理 | - |
| 接道 | 南側6.0m公道に11.1m接道 |
| 私道 | なし |
| 権利 | 所有権 |
| 借地権 | - |
| 現況 | 更地 |
| 引渡時期 | 相談 |
| 引渡条件 | 現況渡し |
| 取引態様 | 媒介 |
| 管理コード | AHU400057 |
設備・特記
《設備》:プロパンガス/陽当り良好/上水道/整形地/浄化槽/閑静な住宅街/開発分譲地内
《物件の特徴》:-
備考
《その他》:販売戸数( 7区画)
※詳細については、Webサイトにてご確認ください。現状と異なる場合は、現状を優先させていただきます。
※取引態様の欄に「媒介」と表示された物件は「仲介物件」です。ご成約の際には仲介手数料を申し受けます。
情報更新日|2026年4月4日
次回更新予定|2026年4月20日