483万円
236.61坪
種別 土地
土地面積 782.21㎡
おすすめ
ポイント
由良温泉近く。海と自然に包まれる広々236坪の売地
海辺の穏やかな街並みに佇む広々236.61坪の売地。
豊かな自然に囲まれ、別荘地のような開放感あふれる住環境です。
| 都市計画 | 市街化調整区域 |
|---|---|
| 用途地域 | 無指定 |
| 建蔽率/容積率 | 70% / 200% |
| 地目 | 宅地 |
| 最適用途 | 住宅用地 |
| 区画整理 | - |
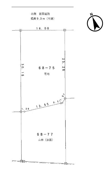
| 接道 | 北東側9.0m公道に接道 |
| 私道 | なし |
| 権利 | 所有権 |
| 借地権 | - |
| 現況 | 更地 |
| 引渡時期 | 相談 |
| 引渡条件 | ※市街化調整区域内ですが、条例区域のため建築可。 ※がけ条例適用の可能性有。 |
| 取引態様 | 媒介 |
| 管理コード | AJJ400019 |
設備・特記
《設備》:上水道
《物件の特徴》:-
備考
《その他費用》:仲介手数料
《その他》:販売戸数( 1区画) / その他(※下水道未供給地域のため、汚水・雑排水を排水する際は合併浄化槽の設置が必要。※68番75→登記地目:宅地・456.21m2(138.00坪)、68番77→登記地目:山林・326㎡(98.61坪))
※詳細については、Webサイトにてご確認ください。現状と異なる場合は、現状を優先させていただきます。
※取引態様の欄に「媒介」と表示された物件は「仲介物件」です。ご成約の際には仲介手数料を申し受けます。
情報更新日|2026年5月12日
次回更新予定|2026年5月30日