967.92万円
77.43坪
種別 土地
土地面積 255.98㎡
おすすめ
ポイント
仲介手数料無料
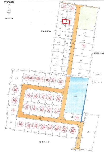
宅地分譲全48区画好評分譲中!建築条件なし!!
国道8号線すぐ近くの分譲地です
albis稲寄店まで徒歩2分!
| 都市計画 | 非線引区域 |
|---|---|
| 用途地域 | 第一種低層住居専用地域 |
| 建蔽率/容積率 | 50% / 80% |
| 地目 | 宅地 |
| 最適用途 | 住宅用地 |
| 区画整理 | - |
| 接道 | 東側6.0m公道に10.3m接道 |
| 私道 | なし |
| 権利 | 所有権 |
| 借地権 | - |
| 現況 | 更地 |
| 引渡時期 | 即時 |
| 引渡条件 | |
| 取引態様 | 媒介 |
| 管理コード | AJL400505 |
設備・特記
《設備》:陽当り良好/土地50坪以上/上水道/整形地/前道6m以上/閑静な住宅街/下水道/市街地が近い
《物件の特徴》:-
備考
《その他》:販売戸数( 17区画)
※詳細については、Webサイトにてご確認ください。現状と異なる場合は、現状を優先させていただきます。
※取引態様の欄に「媒介」と表示された物件は「仲介物件」です。ご成約の際には仲介手数料を申し受けます。
情報更新日|2026年4月1日
次回更新予定|2026年4月17日