2,980万円
41.60坪
種別 土地
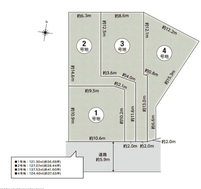
土地面積 137.53㎡
おすすめ
ポイント
建築条件なし!お好きなハウスメーカー・工務店で建築可能です!
全4区画で最大面積の約41坪!広さを活かした設計が可能です!
周辺には公園が多く緑豊かな住環境、子育てに最適なロケーション♪
阪急「池田」駅バス9分、「上渋谷」停徒歩3分の好立地♪
| 都市計画 | 市街化区域 |
|---|---|
| 用途地域 | 第一種低層住居専用地域 |
| 建蔽率/容積率 | 40% / 100% |
| 地目 | 宅地 |
| 最適用途 | 住宅用地 |
| 区画整理 | - |
| 接道 | 南側5.9m公道に2.0m接道 |
| 私道 | なし |
| 権利 | 所有権 |
| 借地権 | - |
| 現況 | 更地 |
| 引渡時期 | 即時 |
| 引渡条件 | |
| 取引態様 | 媒介 |
| 管理コード | AYA400977 |
設備・特記
《設備》:陽当り良好/都市ガス/上水道/閑静な住宅街/下水道/緑豊かな住宅地
《物件の特徴》:-
備考
《その他制限》:第一種高度地区、景観法、航空法、都市再生特別措置法、土砂災害警戒区域法、22条区域
《その他》:販売戸数( 4区画) / その他(◆その他法令上の制限:土砂災害防止対策推進法、宅地造成及び特定盛土等規制法、池田山風致地区)
※詳細については、Webサイトにてご確認ください。現状と異なる場合は、現状を優先させていただきます。
※取引態様の欄に「媒介」と表示された物件は「仲介物件」です。ご成約の際には仲介手数料を申し受けます。
情報更新日|2026年4月20日
次回更新予定|2026年5月5日