870万円
217.49坪
種別 土地
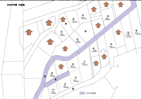
土地面積 719.00㎡
おすすめ
ポイント
スローライフ・自然と共に生きる!
分譲地内アルカリ天然水の供給完備(PH7.8)
自然豊かな環境 高台で眺望良好
建築条件なし 南傾斜で日当り良好
都市計画 | 都市計画区域外 |
---|---|
用途地域 | 無指定 |
建蔽率/容積率 | / |
地目 | 山林 |
最適用途 | 住宅用地 |
区画整理 | - |
接道 | 北西側5.0m私道に16.0m接道 |
私道 | 私道負担面積:2932.0㎡(持分:1/1000) |
権利 | 所有権 |
借地権 | - |
現況 | 更地 |
引渡時期 | 即時 |
引渡条件 | 現況渡し |
取引態様 | 媒介 |
管理コード | GB01141 |
設備・特記
《設備》:プロパンガス/電気/浄化槽/側溝/高台
《物件の特徴》:スローライフ・自然と共に生きる!
備考
《その他費用》:地下水加入金40万円、維持管理費(自治会費)月額 10,000円
※詳細については、Webサイトにてご確認ください。現状と異なる場合は、現状を優先させていただきます。
※取引態様の欄に「媒介」と表示された物件は「仲介物件」です。ご成約の際には仲介手数料を申し受けます。
情報更新日|2025年10月3日
次回更新予定|2025年10月17日