9,500万円
37.84坪
種別 土地
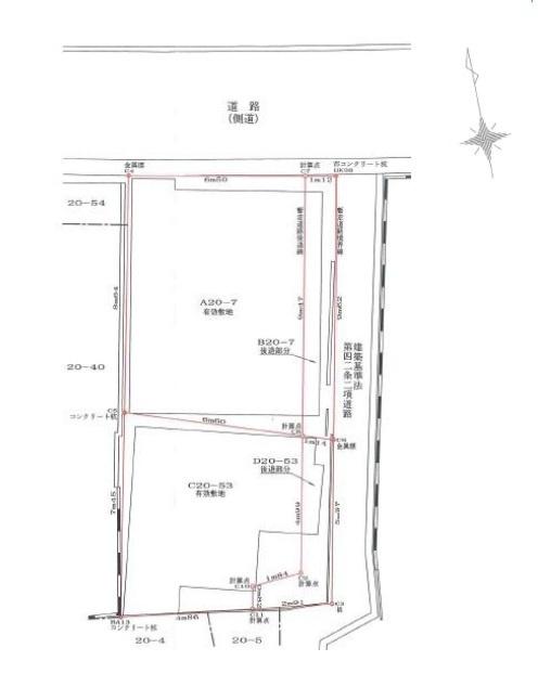
土地面積 125.10㎡
おすすめ
ポイント
建築条件無し☆当社オリジナル天空の家シリーズも建築可能です!
整形地なので理想の間取りが建築でき、土地を無駄なく使えます♪
土地面積☆約37坪!ゆとりある広さで二世帯住宅用地としても◎
予算に合わせた最適なプランをご提案致します。是非ご相談下さい!
| 都市計画 | 市街化区域 |
|---|---|
| 用途地域 | 商業地域 |
| 建蔽率/容積率 | 80% / 400% |
| 地目 | 宅地 |
| 最適用途 | 指定なし |
| 区画整理 | - |
| 接道 | 北側17.0m公道に7.0m接道/東側1.7m公道に接道 |
| 私道 | なし |
| 権利 | 所有権 |
| 借地権 | - |
| 現況 | 更地 |
| 引渡時期 | 相談 |
| 引渡条件 | 相談 |
| 取引態様 | 媒介 |
| 管理コード | HF403097 |
設備・特記
《設備》:陽当り良好/都市ガス/上水道/下水道
《物件の特徴》:建築条件無し☆当社オリジナル天空の家シリーズも建築可能です!
備考
《その他》:販売戸数( 1区画) / その他(JR常磐線「松戸」駅 徒歩4分の好立地!駅近の希少物件です。都心や千葉方面へのアクセスが良好なので、ご家族の通勤・通学にも便利ですね♪また駅周辺には生活利便施設が充実しているので、住環境も良好です!★お客様が満足できるまで全力でサポートさせていただきます★)
※詳細については、Webサイトにてご確認ください。現状と異なる場合は、現状を優先させていただきます。
※取引態様の欄に「媒介」と表示された物件は「仲介物件」です。ご成約の際には仲介手数料を申し受けます。
情報更新日|2026年5月15日
次回更新予定|2026年5月29日