687万円
52.86坪
種別 土地
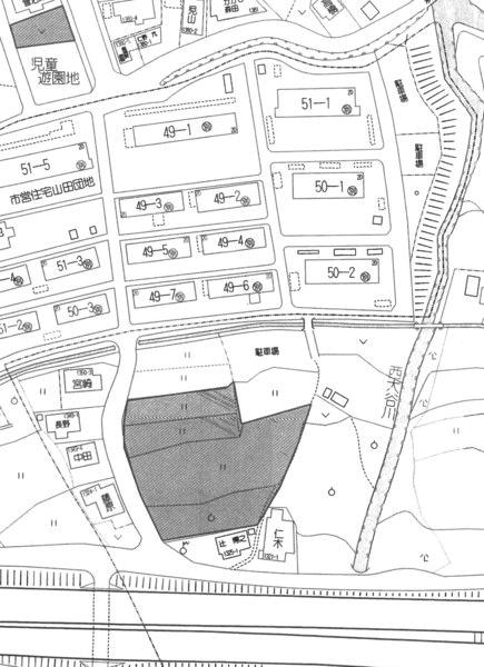
土地面積 174.75㎡
おすすめ
ポイント
夜景と花火が見える海と街が一望できる分譲地
来客用駐車場完備
| 都市計画 | 非線引区域 |
|---|---|
| 用途地域 | 無指定 |
| 建蔽率/容積率 | 70% / 200% |
| 地目 | 宅地 |
| 最適用途 | 住宅用地 |
| 区画整理 | - |
| 接道 | 南側6.0m私道に17.0m接道/位置指定道路:あり |
| 私道 | 私道負担面積:428.59㎡ |
| 権利 | 所有権 |
| 借地権 | - |
| 現況 | 更地 |
| 引渡時期 | 即時 |
| 引渡条件 | |
| 取引態様 | 媒介 |
| 管理コード | LV400171 |
設備・特記
《設備》:プロパンガス/上水道/南道路/下水道/角地
《物件の特徴》:夜景と花火が見える海と街が一望できる分譲地
備考
《その他》:販売戸数( 10区画)
※詳細については、Webサイトにてご確認ください。現状と異なる場合は、現状を優先させていただきます。
※取引態様の欄に「媒介」と表示された物件は「仲介物件」です。ご成約の際には仲介手数料を申し受けます。
情報更新日|2025年12月23日
次回更新予定|2026年1月8日