876万円
219.00坪
種別 土地
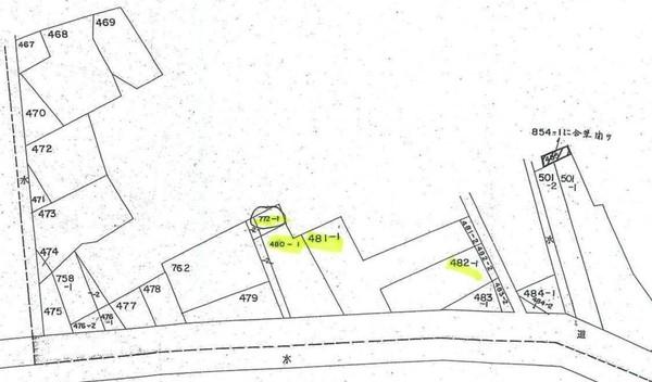
土地面積 724.00㎡
おすすめ
ポイント
前面道路幅員12.7m!!国道8号線至近!!
分割不可
| 都市計画 | 非線引区域 |
|---|---|
| 用途地域 | 無指定 |
| 建蔽率/容積率 | 70% / 200% |
| 地目 | 畑 |
| 最適用途 | 事業用地 |
| 区画整理 | - |
| 接道 | 東側12.7m公道に接道/北側3.7m公道に接道 |
| 私道 | なし |
| 権利 | 所有権 |
| 借地権 | - |
| 現況 | 更地 |
| 引渡時期 | 即時 |
| 引渡条件 | 現況渡し |
| 取引態様 | 媒介 |
| 管理コード | LW00245 |
設備・特記
《設備》:角地
《物件の特徴》:前面道路幅員12.7m!!国道8号線至近!!
備考
《その他制限》:農地法第5条申請が必要です
※詳細については、Webサイトにてご確認ください。現状と異なる場合は、現状を優先させていただきます。
※取引態様の欄に「媒介」と表示された物件は「仲介物件」です。ご成約の際には仲介手数料を申し受けます。
情報更新日|2025年11月18日
次回更新予定|2025年12月2日