3,890万円
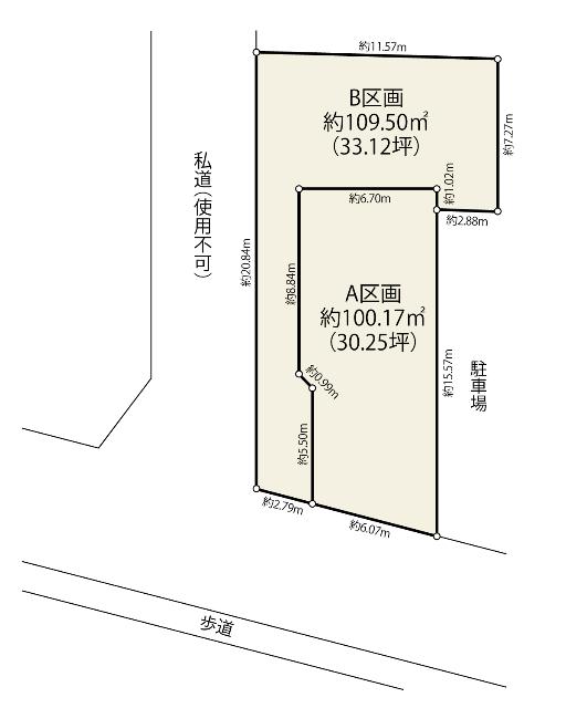
30.30坪
種別 土地
土地面積 100.17㎡
おすすめ
ポイント
京成松戸線「松戸新田」駅徒歩1分と駅すぐそば!
土地面積30.2坪坪の建築条件なし住宅用地です☆
小中学校・保育園・幼稚園が1km圏内に立地(^^)/
交通利便性に優れ、子育て世代にも住み良い生活環境です♪
| 都市計画 | 市街化区域 |
|---|---|
| 用途地域 | 第一種住居地域 |
| 建蔽率/容積率 | 60% / 200% |
| 地目 | 宅地 |
| 最適用途 | 住宅用地 |
| 区画整理 | - |
| 接道 | 西側に接道 |
| 私道 | なし |
| 権利 | 所有権 |
| 借地権 | - |
| 現況 | 更地 |
| 引渡時期 | 相談 |
| 引渡条件 | |
| 取引態様 | 媒介 |
| 管理コード | PG400590 |
設備・特記
《設備》:都市ガス/上水道/小学校徒歩10分以内/下水道
《物件の特徴》:京成松戸線「松戸新田」駅徒歩1分と駅すぐそば!
備考
《その他制限》:第1種高度地区、法22条区域
《その他》:販売戸数( 2区画)
※詳細については、Webサイトにてご確認ください。現状と異なる場合は、現状を優先させていただきます。
※取引態様の欄に「媒介」と表示された物件は「仲介物件」です。ご成約の際には仲介手数料を申し受けます。
情報更新日|2025年12月3日
次回更新予定|2025年12月17日