2,690万円
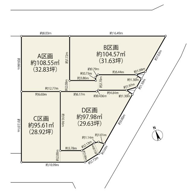
29.63坪
種別 土地
土地面積 97.98㎡
おすすめ
ポイント
土地面積28.9坪〜32.8坪の建築条件なし売地(^_-)-☆
お好きなハウスメーカーにて建築可能です♪
住環境良好な第1種低層住居専用地域(^^)/
JR常磐線「柏」駅徒歩16分、「北柏」駅徒歩14分!
| 都市計画 | 市街化区域 |
|---|---|
| 用途地域 | 第一種低層住居専用地域 |
| 建蔽率/容積率 | 50% / 100% |
| 地目 | 宅地 |
| 最適用途 | 住宅用地 |
| 区画整理 | - |
| 接道 | 南東側に接道 |
| 私道 | なし |
| 権利 | 所有権 |
| 借地権 | - |
| 現況 | 更地 |
| 引渡時期 | 相談 |
| 引渡条件 | |
| 取引態様 | 媒介 |
| 管理コード | PG400602 |
設備・特記
《設備》:陽当り良好/都市ガス/上水道/下水道
《物件の特徴》:土地面積28.9坪〜32.8坪の建築条件なし売地(^_-)-☆
備考
《その他制限》:22条区域、絶対高さ制限10m
《その他》:販売戸数( 4区画)
※詳細については、Webサイトにてご確認ください。現状と異なる場合は、現状を優先させていただきます。
※取引態様の欄に「媒介」と表示された物件は「仲介物件」です。ご成約の際には仲介手数料を申し受けます。
情報更新日|2025年12月3日
次回更新予定|2025年12月17日