4,180万円
37.30坪
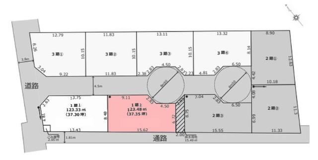
種別 土地
土地面積 123.33㎡
おすすめ
ポイント
京成松戸線「前原」駅まで徒歩9分です。
建築条件ありません。お好きなハウスメーカーでお建てください。
間取の参考プランもございます。
幼稚園・小学校が徒歩圏内で、親御さんも安心です。
| 都市計画 | 市街化区域 |
|---|---|
| 用途地域 | 第一種中高層住居専用地域 |
| 建蔽率/容積率 | 60% / 200% |
| 地目 | 畑 |
| 最適用途 | 指定なし |
| 区画整理 | - |
| 接道 | 北西側3.8m公道に4.8m接道/北東側4.5m私道に13.7m接道 |
| 私道 | なし |
| 権利 | 所有権 |
| 借地権 | - |
| 現況 | 更地 |
| 引渡時期 | 即時 |
| 引渡条件 | |
| 取引態様 | 媒介 |
| 管理コード | SV401359 |
設備・特記
《設備》:都市ガス/上水道/区画整理地内/小学校徒歩10分以内/下水道
《物件の特徴》:京成松戸線「前原」駅まで徒歩9分です。
備考
※詳細については、Webサイトにてご確認ください。現状と異なる場合は、現状を優先させていただきます。
※取引態様の欄に「媒介」と表示された物件は「仲介物件」です。ご成約の際には仲介手数料を申し受けます。
情報更新日|2025年12月18日
次回更新予定|2026年1月2日