2,790万円
41.56坪
種別 土地
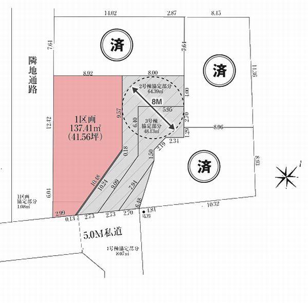
土地面積 137.41㎡
おすすめ
ポイント
東武アーバンパークライン「馬込沢」駅まで徒歩13分です。
建築条件ありません。お好きなハウスメーカーでお建てください。
参考プランございます。ご相談ください。
みんなが喜ぶ家を自由に建築可能です。
| 都市計画 | 市街化区域 |
|---|---|
| 用途地域 | 第一種低層住居専用地域 |
| 建蔽率/容積率 | 50% / 100% |
| 地目 | 宅地 |
| 最適用途 | 指定なし |
| 区画整理 | - |
| 接道 | 南東側5.0m私道に2.9m接道 |
| 私道 | なし |
| 権利 | 所有権 |
| 借地権 | - |
| 現況 | 更地 |
| 引渡時期 | 相談 |
| 引渡条件 | |
| 取引態様 | 媒介 |
| 管理コード | SV401522 |
設備・特記
《設備》:都市ガス/上水道/下水道
《物件の特徴》:東武アーバンパークライン「馬込沢」駅まで徒歩13分です。
備考
※詳細については、Webサイトにてご確認ください。現状と異なる場合は、現状を優先させていただきます。
※取引態様の欄に「媒介」と表示された物件は「仲介物件」です。ご成約の際には仲介手数料を申し受けます。
情報更新日|2025年12月18日
次回更新予定|2026年1月1日