680万円
81.97坪
種別 土地
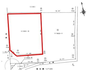
土地面積 271.00㎡
おすすめ
ポイント
東武東上線「東松山駅」より1200m約15分。
土地約81坪。日当たり良好!。住環境良好!。買い物も便利です。
どなた様でも手続きにより建築可能です。
関越自動車道「東松山IC」へのアクセス便利です。
| 都市計画 | 市街化調整区域 |
|---|---|
| 用途地域 | 無指定 |
| 建蔽率/容積率 | 60% / 200% |
| 地目 | 宅地 |
| 最適用途 | 住宅用地 |
| 区画整理 | - |
| 接道 | 西側4.0m公道に16.0m接道 |
| 私道 | なし |
| 権利 | 所有権 |
| 借地権 | - |
| 現況 | 古屋あり |
| 引渡時期 | 即時 |
| 引渡条件 | 現況渡し |
| 取引態様 | 媒介 |
| 管理コード | VL400093 |
設備・特記
《設備》:-
《物件の特徴》:土地約81坪。日当たり良好!。住環境良好!。買い物も便利です。
備考
《その他制限》:契約不適合責任は免責です。
《その他》:その他(契約不適合責任免責 現況有姿での引渡し。埋蔵文化財包蔵地該当なし。手続きにより建替え可能。※詳しくは東松山市役所にお問合せ下さい。)
※詳細については、Webサイトにてご確認ください。現状と異なる場合は、現状を優先させていただきます。
※取引態様の欄に「媒介」と表示された物件は「仲介物件」です。ご成約の際には仲介手数料を申し受けます。
情報更新日|2025年11月8日
次回更新予定|2025年11月23日