前へ
次へ
前へ
次へ
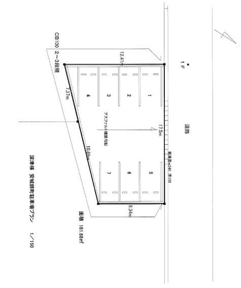
駐車場

安城市錦町駐車場

  • 愛知県安城市錦町 MAP
    • JR東海道本線 「安城駅」 徒歩10分 / 名鉄西尾線 「南安城駅」 徒歩14分 / 名鉄西尾線 「北安城駅」 徒歩22分
更新日:2024年4月26日

安城市錦町駐車場の他の空室物件

1

生活情報

安城市の暮らしデータ

安城市は名古屋市から約30kmの位置にある人口約19万人の都市です。明治用水の豊かな水資源を活かした農業が盛んで、「日本デンマーク」と呼ばれるほど農業先進都市として発展してきました。現在も市域の4割を占める田畑での農業とともに、自動車関連産業をはじめとする大企業が集積するほか、2025年4月には「三井ショッピングパーク ららぽーと安城」が開業するなど、農・工・商のバランスが取れたまちづくりが進んでいます。交通面ではJR東海道本線や名鉄線、新幹線の三河安城駅があり、名古屋市や豊田市へのアクセスも良好です。医療・教育機関も充実し、子育て世代から高齢者まで安心して暮らせる環境が整っています。

基本データ

市区役所所在地 安城市桜町18-23
公式ホームページURL https://www.city.anjo.aichi.jp//
総人口 187,990人
人口増減率(2015年/2020年) 102.1%
安城市の生活情報を詳しくみる

取扱店舗

株式会社ウエルカムコーポレーション
交通
東海道新幹線「三河安城」駅南口徒歩1分、駐車場4台有
営業時間
10:00 〜 19:00
定休日
毎週水曜日
  • 駐車場あり/キッズスペースあり